镭射净肤
别名:镭射净肤也是激光美肤,它是利用激光的“选择性作用原理”实现美肤效果,主要是通过一定波长的高能量光,选择性作用于问题皮肤处,照射皮肤表层,直达真皮深层,分解异常黑色素细胞颗粒,修复过度扩张毛细血管,抑制皮脂腺过度分泌、杀死多种炎症细菌,刺激皮肤弹力纤维,淡化色斑、祛痘除印、收细毛孔、改善肤质肤色、抚平细小皱纹达到综合美肤的目的。
- 安全度
- 复杂度
- 疼痛度 : 轻度疼痛
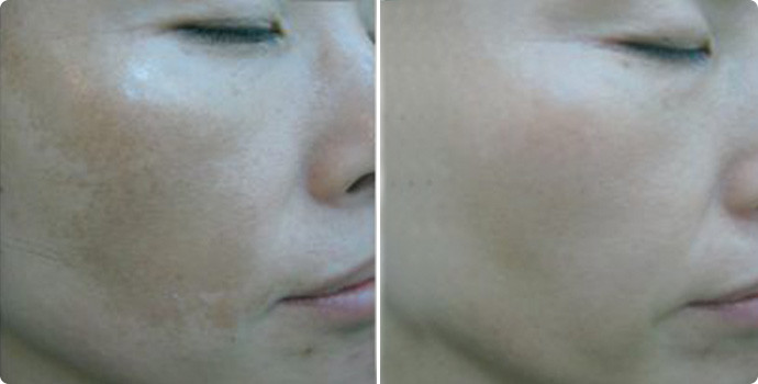
集美白、祛斑、祛痘、嫩肤、去除细小皱纹多种功能于一体; 与“黑脸娃娃”相比,无需使用碳粉,不担心破碎的碳粉堵塞毛孔。
约1000~3000元/次
- 项目档案
- 项目优缺点
- 禁忌人群
-
操作方式 光电 麻醉方式 无需麻醉或表麻 治疗时长 30分钟左右 恢复时间 5-7天 以上信息均为参考,实际以到医院操作为准
-
项目优点 集美白、祛斑、祛痘、嫩肤、去除细小皱纹多种功能于一体; 与“黑脸娃娃”相比,无需使用碳粉,不担心破碎的碳粉堵塞毛孔。 项目缺点 需多次治疗,才能达到理想的效果; 术后需严格注意防晒; 效果可能存在个体差异。 以上信息均为参考,实际以到医院操作为准
-
禁忌人群 妊娠期女性; 光过敏者、对光敏感者及用过光敏感药物者; 高血压、糖尿病患者; 长期服用某些精神类药物者; 服用消炎药、降压药者; 2周内有日光曝晒者; 面部有炎症者。 以上信息均为参考,实际以到医院操作为准
2.近期接受过暴晒者,在治疗前需向医生说明;
3.治疗前清洁面部,不能残留化妆品。
- 0天~3天红肿期
- 恢复提示:治疗后当天皮肤轻微红肿,极少数人治疗后有可能出现结痂、水泡或暂时性色素改变。护理方法:1.多补充维生素C,注意皮肤保湿,严格防晒,用冷水洗脸; 2.治疗期间,请注意防晒; 3.禁烟酒及辛辣刺激的食物。
- 4天~30天效果显现期
- 恢复提示:可见效果,慢慢起效,根据个人体质和情况不同,一般2-3次就会有效果。护理方法:1.可以继续完成疗程的治疗; 2.禁烟酒、辛辣刺激性食物,及颜色深的食物如:咖啡、可乐等; 3.避免日晒,尽量使用防晒或打伞,室内室外都需涂抹防晒产品。
= 2 ? show_num = 6 : show_num += 6">{{show_num>=2?'收起':'展开'}}
以上术后护理仅供参考。因个体差异、采用术式不同,恢复周期、拆线时间及护理方法均会有所不同。具体护理方案,建议遵医嘱执
- 镭射净肤可以在哪些地方做?
根据修改后的中华人民共和国卫生部令(第19号)——《医疗美容服务管理办法》第二条有关规定,激光美白属于美容皮肤科的有创治疗项目,属于医疗美容性质,应该在正规的医疗美容医院或开设医疗美容科的正规医院实施。
- 镭射净肤美白效果可以维持多长时间?
镭射净肤每次治疗结束以后,皮肤都要有一个自然吸收的新陈代谢过程,因此治疗的间隔时间一般为1个月左右;根据色素及血管病变的大小、数量及深度,有的治疗一两次就能达到预期的效果,一般则需3-6次才能全面解决;镭射净肤的效果一般能维持2年的时间,这是要看个人的体质和保养的,不能一概而论。
- 镭射净肤做完会结痂吗?
镭射净肤祛斑采用“安全平帽”技术,将“点对面”的激光发射模式改为“面对面”的发射方式,祛斑能量密度均匀一致,治疗过程中不易造成皮肤出血,因此治疗后不结痂,也不会产生色素沉着现象。
- 镭射净肤要多久才能看到效果?
镭射净肤采用的光斑能量密度均匀一致,不易造成皮肤出血及灼烧皮肤的情况,既缩短了治疗周期,又缩短了恢复周期,一般只需要7-15天就能取得较好的效果改善。
- 镭射净肤治疗后会不会返黑?
由于人的肌肤会因外在因素(如环境、阳光、空气等)及内在因素(如内分泌等)的影响,镭射净肤后更要做好每日的基础保养,及定期的医学美容养护。若想维持长期的效果,可进行定期的医疗美肤治疗。
- 想做镭射净肤,贵么?会疼么?
多少会一点点
- 镭射净肤怎么样?效果好么?
主要针对哪些皮肤问题有效啊
适合自己的才是最好的
- 超皮秒;丰巢皮秒;镭射净肤这都是同一种治疗项目不同叫法吗?对于祛斑哪种治疗更有效呢?
????您好,很高兴为您解答,镭射净肤也是激光美肤,是激光美肤项目的一个统称,而皮秒和超皮秒是激光美肤的其中一种。????那皮秒和超皮秒有什么区别呢?????????一.生产厂家Picosure皮秒产自美国赛诺秀公司,Picaow
- 美白效果显优的光电仪器有哪几种








